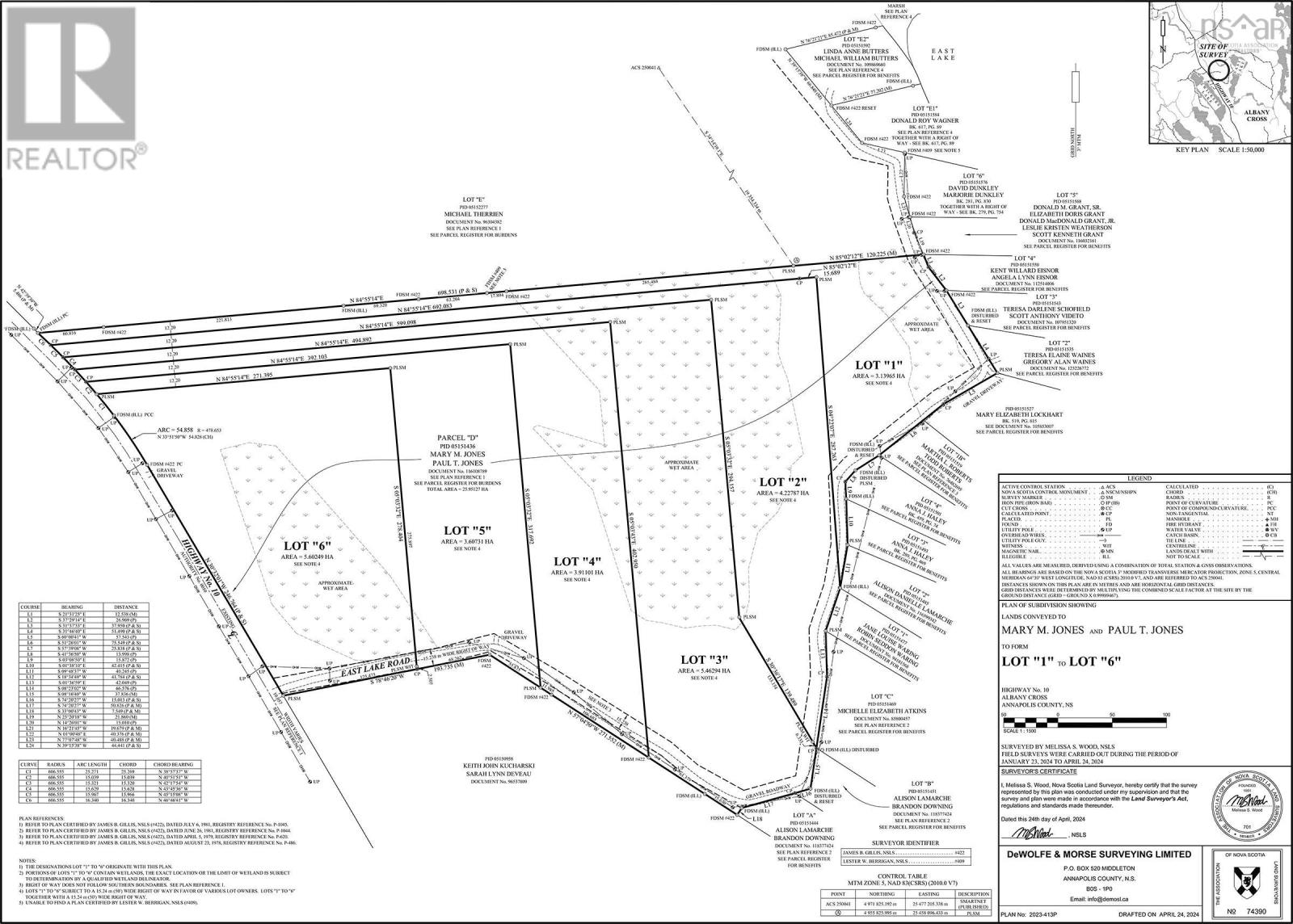
This is a rare opportunity for a developer or a group of friends to own a surveyed seven-lot package with access to the peaceful waters of East Lake. Seven (7) separate lots being sold as a package deal, spanning a total of 65.5 acres, this property offers convenient access via a well-maintained private road or directly from Highway 10. Power is available at the roadside, making it ideal for building seasonal retreats or year-round homes. Whether you are looking to develop the land, sell individual parcels, or create a private getaway, this beautiful and versatile property offers endless potential in a truly prime location! (id:29604)
| MLS® Number | 202602975 |
| Property Type | Vacant Land |
| Community Name | New Albany |
| Features | Treed |
| Water Front Type | Waterfront On Lake |
| Utility Water | None |
| None |
| Acreage | Yes |
| Sewer | No Sewage System |
| Size Irregular | 65.423 |
| Size Total | 65.423 Ac |
| Size Total Text | 65.423 Ac |
https://www.realtor.ca/real-estate/29372841/7-lot-package-east-lake-road-new-albany-new-albany
Contact us for more information
Colin Crowell
(902) 765-2222
www.remaxbanner.com/